【台風情報】南海上に新たな「台風のたまご=熱帯低気圧」 台風22号は「非常に強い勢力」に発達 最大瞬間風速70メートルに【最新・雨と風のシミュレーション】

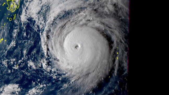
台風22号は、9日は非常に強い勢力で伊豆諸島付近を東北東へ進む見込みです。【雨と風のシミュレーションを画像で掲載しています】。気象庁によりますと、非常に強い台風22号は、8日9時には日本の南にあって、1時間に15キロメートルの速さで北へ進んでいます。中心の気圧は935ヘクトパスカル、中心付近の最大風速は50メートル、最大瞬間風速は70メートルです。台風は非常に強い勢力を維持しながら、8日は進路を次第に東へ変え、9…






































