【台風情報】「台風4号」大型で猛烈な勢力に発達 最大瞬間風速は75メートル 17日(金)に「小笠原近海」予想 今後の進路は?14日(火)~19日(日)雨風シミュレーション【気象庁 14日午後3時更新】

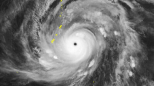
気象庁によりますと、10日(金)午前3時に「台風4号(シンラコウ)」が発生したということです。大型で猛烈な勢力の台風4号はきょう(14日)午後0時には、マリアナ諸島を北西へ15キロの速さで進んでいます。中心の気圧は920ヘクトパスカル、中心付近の最大風速は55メートル、最大瞬間風速は75メートルとなっています。*シンラコウはミクロネシアの「伝説上の女神」を意味しています。






































