クルーズ船「にっぽん丸」 引退を前に日南市・油津港に最後の寄港 2026年4月7日(火) 17:12 国内 来月、引退となるクルーズ船「にっぽん丸」が宮崎県日南市の油津港に寄港しました。来月、引退するクルーズ船「にっぽん丸」。1990年の就航以来、35年にわたり延べ66万人を乗せ、これまで日南市の油津港には10回寄…
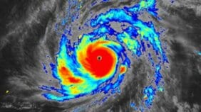
【台風4号情報 13日午後7時過ぎ更新】“台風の目”くっきり… 大型で猛烈な勢力にまで発達の“春の台風” ゆっくり北上中 最大瞬間風速85m/s・中心気圧905hPa 最新進路予想や日本への影響は? 雨・風シミュレーション 6時間前