気象庁は10月7日(火)午後6時45分に「台風情報」を更新しました。
以下、台風22号の最新情報の詳細になります。
台風情報を含む、気象情報は日々変わっていくため、今後も気象庁の最新の情報、天気予報には留意する必要があります。
※【雨と風の予想シミュレーション】は、関連リンクからご覧いただけます。
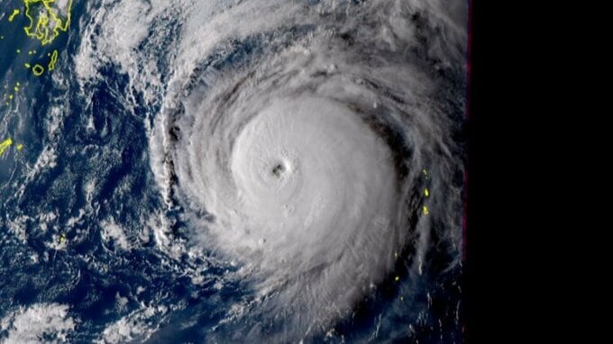
気象庁は10月7日(火)午後6時45分に「台風情報」を更新しました。
以下、台風22号の最新情報の詳細になります。
台風情報を含む、気象情報は日々変わっていくため、今後も気象庁の最新の情報、天気予報には留意する必要があります。
※【雨と風の予想シミュレーション】は、関連リンクからご覧いただけます。









