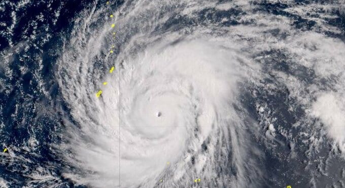
台風4号(シンラコウ)は13日(月)、大型で猛烈な勢力を保ちながらマリアナ諸島を北西に進み、今後は小笠原近海に向け北に進む見込みです。
気象庁によりますと、台風4号は13日(月)午前3時現在、マリアナ諸島(北緯11.6度、東経149.5度)を時速15kmで北西に進んでいます。中心気圧は905hPa、中心付近の最大風速は60m/s、最大瞬間風速は85m/sと猛烈な勢力です。
➡13日(月)雨と風の動きシミュレーション
➡14日(火)雨と風の動きシミュレーション
➡15日(水)雨と風の動きシミュレーション
➡16日(木)雨と風の動きシミュレーション
風速25m/s以上の暴風域は中心から全域165km、風速15m/s以上の強風域は北東側600km、南西側500kmに及んでいます。
今後の進路予報
▼ 14日(火)午前3時:猛烈な勢力を維持したまま、マリアナ諸島を時速15kmで北西に進む見込みです。中心気圧905hPa、最大風速60m/s、最大瞬間風速85m/sと勢力はほぼ変わりません。
▼ 15日(水)午前3時:引き続きマリアナ諸島付近にあり、速度は時速10kmにやや減速します。中心気圧は915hPa、最大風速55m/s、最大瞬間風速75m/sで、依然として猛烈な勢力です。
▼ 16日(木)午前3時:勢力は「非常に強い」に変わり、中心気圧は925hPa、最大風速50m/sとなる見通しです。進む方向が北北西に変わり、速度は時速10kmです。










