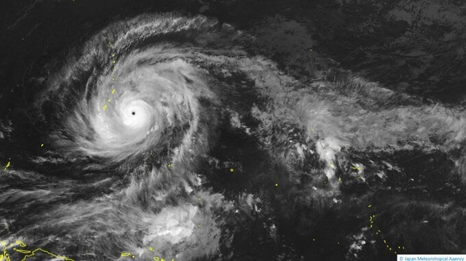
気象衛星ひまわりが映した台風4号(13日午後5時30分)。台風の目でしょうか、中心部にくっきりと、黒くなった部分が見えます。
気象庁によりますと、10日午前3時に発生した台風4号「シンラコウ」(ミクロネシアが提案した名称で、伝説上の女神の名前に由来)は「大型で猛烈な」勢力に発達し、時速15キロメートルで北西へ進んでいます。最大風速は60メートルで、15メートル以上の強風域は北東側600キロ、南西側500キロとなっています。
▼台風の強さ:最大風速が目安
猛烈な(54メートル以上)/非常に強い(44メートル以上)/強い(33メートル以上)
▼台風の大きさ:強風域の半径が目安
超大型(800キロ以上)/大型(500キロ以上)
このあとの進路は?そして4月台風は日本へ近づく可能性はあるのでしょうか。気象庁の進路予想を見ていきます。















