JR東日本によりますと、23日に終日運休となった東北新幹線の仙台~東京間について、24日の始発から運転を再開する予定だということです。
注目の記事
運転中ズボンはき替え⋯“暑くて”事故前にゴルフ場で飲酒も 1歳男児死亡の正面衝突事故、運転支援システム起動中の被告に遺族「理不尽極まりない」

【大相続時代】スマホで作成「デジタル遺言」解禁へ “なりすまし”リスクは?どう制度変わる?背景には深刻な社会問題

物価高が引き起こす見えない増税「インフレ税」とは?歴史的賃上げラッシュ・「税率区分」に“核心”が 【サンデーモーニング】

【いつ?どの方角?】パンスターズ彗星の観察チャンス!4月22日まで明け方の東北東の空を見て【2026】

なぜ?創業137年の老舗仏壇店が完全異業種「コーヒー」栽培に挑戦…社長「ムーブメントは起こっています」【岡山】

自転車で家族や友だちと「並走」したら交通違反? 反則金はどのくらい?ついうっかり…やってしまいがちな落とし穴とは? 自転車「青切符」導入で変わる新ルール

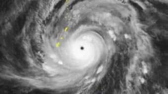
【台風4号情報 13日午後7時過ぎ更新】“台風の目”くっきり… 大型で猛烈な勢力にまで発達の“春の台風” ゆっくり北上中 最大瞬間風速85m/s・中心気圧905hPa 最新進路予想や日本への影響は? 雨・風シミュレーション

ようやく「春が来たな」全国有数のサクラの名所・弘前公園で早咲きの「弘前枝垂れ」が満開に! 週末には大勢の人がくり出し“春の宴”を満喫「今年雪が多かったので、楽しみに春を迎えられた」青森県弘前市

反対派の議員は「欠席」町民約280人が参加も… 板柳町統合小学校に関する住民説明会が初開催 反対する理由を求めていた住民からは批判や困惑の声「反対側の説明も聞きたかった」「それが一番の願い」 青森県

「皆さんに寄り添った行政運営をしていきたい」前の町長の辞職に伴う藤崎町長選挙 元町議会議員で新人の栩内伸治 氏が初当選 一夜明けて13日に初登庁 青森県藤崎町





